En Venta
OFERTA DE 3 LOTES B° PRIVADO PIEDRAS DEL SUR C/U 17.500 USD. Maipu Ozamis y Ruta 60
Código: 170684

Ozamis Sur 3040, M5517 Mendoza, Argentina, Maipu, Mendoza, Argentina.

USD17.500

Lote
Compartir esta Propiedad

Descripción de la Propiedad

OFERTA OFERTA OFERTA

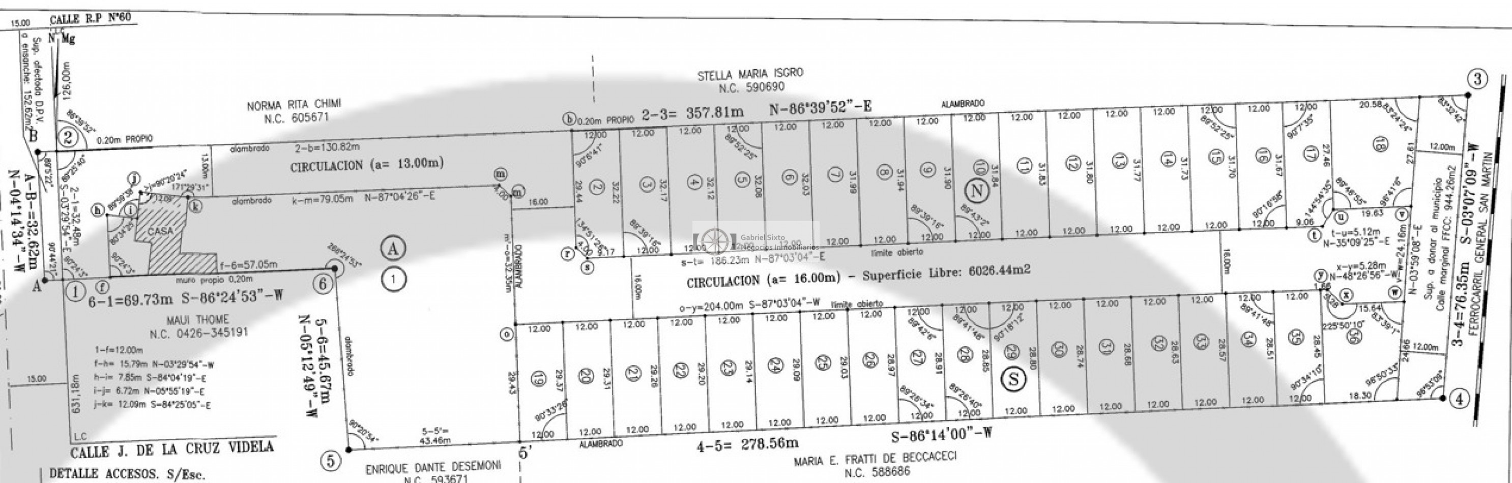
VENTA DE TRES LOTES EN B° PRIVADO PIEDRAS DEL SUR, CON SERVICIO DE GAS NATURAL, ESCRITURA INMEDIATA!!!!

Ubicados sobre calle Ozamis Sur a mts de Ruta 60 de Miapú, constante de 340 m2 c/u con servicios de gas natural, energia eléctrica y agua corriente.
Barrio Privado con ingreso portón automatizado.

Disponiblidad Inmediata!!!!
Gabriel Sixto mt 1842 ccpim
Negocios Inmobiliarios.

Mas detalles